°C -
|

La Jornada

Últimas noticias
Anuncio
Anuncio

Reportan al menos cien viviendas inundadas por lluvias en Morelos

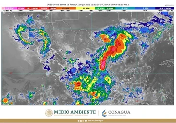
Las lluvias que azotaron Morelos provocaron inundaciones en al menos un centenar de viviendas, principalmente de Jiutepec, Temixco, Cuautla y Ayala, en éstos dos últimos el nivel del agua subió hasta medio metro debido a que se desbordó el río Cuautla. Foto ‘La Jornada’
Las lluvias que azotaron Morelos provocaron inundaciones en al menos un centenar de viviendas, principalmente de Jiutepec, Temixco, Cuautla y Ayala, en éstos dos últimos el nivel del agua subió hasta medio metro debido a que se desbordó el río Cuautla. Foto ‘La Jornada’
08 de julio de 2021 13:07

Cuernavaca, Mor. Las lluvias que azotaron Morelos esta madrugada provocaron inundaciones en al menos un centenar de viviendas, principalmente del municipio de Jiutepec, Temixco, Cuautla y Ayala, en éstos dos últimos el nivel del agua subió debido a que se desbordó el río Cuautla, informaron autoridades municipales, castrenses y la Coordinación de Protección Civil Morelos.

Protección Civil estatal reportó “diversas afectaciones en diferentes puntos del estado”; asimismo, aseguró que hasta los últimos minutos continuaban los trabajos de desfogue de agua en los puntos afectados e inundados.

En Cuautla, según fuentes castrenses, resultaron dañadas unas 20 viviendas y también en el municipio de ciudad de Ayala.

Así, en las primeras horas de este jueves, elementos castrenses del quinto regimiento mecánico ubicado en Cuautla y elementos de la Guardia Nacional, en coordinación con Protección Civil Morelos, aplican el Plan DN-III-E en la colonia La Haciendita, municipio de Ayala, “por el desbordamiento del río Cuautla. Aproximadamente 20 casas fueron afectadas, con un nivel de aproximadamente 60 centímetros”, informaron fuentes castrenses.

Tanto el reporte de Protección Civil Morelos como el de los militares, aseguran que “no se reportan pérdidas humanas”, afortunadamente.

En tanto, en Jiutepec, Francisco Barona Téllez, director de PC municipal, detalló que alrededor de medio centenar de viviendas se anegaron en la unidad habitacional Rinconada Palmira y en la colonia Maravillas de Axexentla.

Los daños más graves, hasta el momento, fueron en la unidad habitacional Rinconada Palmira, ya que allí en algunas partes el agua alcanzó una altura de medio metro, lo que dañó viviendas y vehículos.

Agregó que lo más fuerte de las precipitaciones ocurrieron después de las dos de la madrugada y que de inmediato, y hasta esta hora, han sido atendidas, pues aún hay encharcamientos en calles y avenidas por el taponamiento de alcantarillas.

De igual manera, los municipios de Temixco y Yautepec han sentido los estragos de la lluvia. En éste, reportó PC estatal, se derrumbó parte de una barranca de la localidad de San Carlos y fue cerrado, con el gobierno municipal, el “vado de Oacalco” para evitar otras afectaciones.

En Temixco se inundaron levemente algunos domicilios por encharcamientos en la colonia La Parota, en la colonia Prohogar y Rinconada la misión de Emiliano Zapata, informó PC estatal.

Imagen ampliada

Por extorsión y homicidio, cae en Ecatepec 'El Balú', supuesto integrante de 'La Chokiza'

El sujeto fue trasladado a las instalaciones de la Fiscalía Especializada en Materia de Delincuencia Organizada (FEMDO), para determinar su situación legal.

FGE de Morelos investiga ataque armado contra casas de regidoras en Xoxocotla

El secretario de Gobierno del estado, Edgar Maldonado, hizo hincapié en que no se puede suponer que el responsable sea el alcalde, José Carlos Jiménez Ponciano, hasta que se desahoguen las investigaciones.

Choque en la autopista México-Querétaro provoca reducción de carriles; pipa derrama combustible

Personal de auxilio vial de Capufe, de la Guardia Nacional y de distintas corporaciones laboran en la zona del percance, donde los equipos de auxilio realizan maniobras con una grúa para retirar la pipa.
Anuncio