°C -
|

La Jornada

Últimas noticias
Anuncio
Anuncio

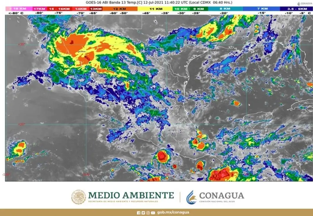
Prevén lluvias muy fuertes en el sur y oeste del país

12 de julio de 2021 09:18

Ciudad de México. Este lunes se prevén lluvias muy fuertes con descargas eléctricas, en Chiapas, Durango, Jalisco, Nayarit, Oaxaca y Zacatecas; ambiente de caluroso a muy caluroso en estados del noroeste, norte y noreste de México, así como en la Península de Yucatán, informó el Servicio Meteorológico Nacional (SMN).

El SMN detalló que habrá lluvias puntuales muy fuertes (de 50.1 a 75 milímetros [mm]) en Chiapas, Durango, Jalisco, Nayarit, Oaxaca y Zacatecas; lluvias puntuales fuertes (de 25.1 a 50 mm) en regiones de Aguascalientes, Chihuahua, Guerrero, Michoacán, Puebla, Sinaloa, Sonora y Veracruz; intervalos de chubascos (de 5.1 a 25 mm) en Campeche, Ciudad de México, Coahuila, Colima, Estado de México, Guanajuato, Hidalgo, Nuevo León, Querétaro, Quintana Roo, San Luis Potosí, Tabasco, Tamaulipas y Yucatán, y lluvias aisladas (de 0.1 a 5 mm) en Baja California Sur, Morelos y Tlaxcala.

En la mayoría de los estados mencionados, las lluvias podrían acompañarse de descargas eléctricas y vientos fuertes, así como posibles granizadas en Chihuahua, Coahuila, Colima, Durango, Estado de México, Guanajuato, Hidalgo, Jalisco, Michoacán, Nayarit, Puebla, Querétaro, Sinaloa, Sonora, Veracruz y Zacatecas.

Vientos fuertes con rachas de 60 a 70 kilómetros por hora (km/h), se pronostican para Baja California (incluido el Golfo de California), Chihuahua, Coahuila, Durango y Sonora, y rachas de 50 a 60 km/h en Campeche, Nuevo León, Quintana Roo, San Luis Potosí, Tabasco, Yucatán, Zacatecas y el Istmo de Tehuantepec.

Las condiciones descritas serán generadas por un canal de baja presión extendido desde el noroeste hasta el centro de la República Mexicana, el cual interaccionará con el ingreso de humedad proveniente del Océano Pacífico, con inestabilidad atmosférica superior y con el paso de la Onda Tropical Número 9, que se desplazará al sur de las costas de Colima y Jalisco, así como por un segundo canal de baja presión, que se ubicará sobre el sureste del territorio nacional, aunado a la entrada de humedad proveniente del Golfo de México y a la aproximación de la Onda Tropical Número 10 a la Península de Yucatán.

Se esperan temperaturas mínimas de 0 a 5 grados Celsius en las montañas del Estado de México, Hidalgo, Oaxaca, Puebla, Tlaxcala y Veracruz.

En contraste, prevalecerá ambiente de caluroso a muy caluroso en estados del noroeste, norte y noreste del país, así como en la Península de Yucatán, con temperaturas máximas de 40 a 45 grados Celsius en Baja California y Sonora, y de 35 a 40 grados Celsius en Baja California Sur, Campeche, Chihuahua, Coahuila, Nuevo León, Quintana Roo, Sinaloa, Tamaulipas y Yucatán.

Imagen ampliada

Recuperan tractocamión robado e incautan predio en Huehuetoca, Edomex

Las investigaciones permitieron ubicar la unidad de carga mediante el dispositivo de geolocalización, que marcaba como punto en el que se encontraba el vehículo.

Edomex: vinculan a proceso a José "N" por el feminicidio de Itzel Díaz

La fiscalía solicitó un periodo de tres meses como plazo para el cierre de investigación y la jueza fijo fecha de vencimiento el 14 de enero de 2026.

Éxodo migrante arriba a Oaxaca; se dirigen al centro del país

El grupo que seguía por la ruta del Pacífico llegó el jueves al municipio de Arriaga luego de rechazar la oferta del INM, de ser trasladados a Veracruz.
Anuncio