°C -
|

La Jornada

Últimas noticias
Anuncio
Anuncio

Prevé SMN lluvias y altas temperaturas en la mayor parte del país

11 de mayo de 2021 09:35

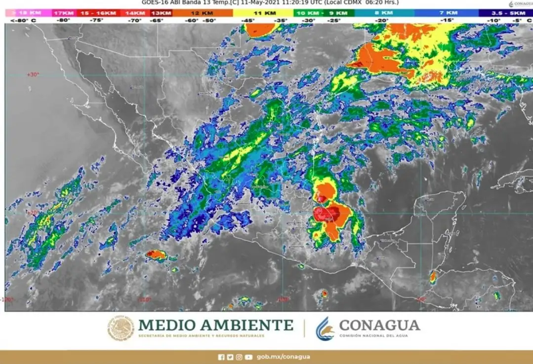
Ciudad de México. El frente frío número 56, que se extenderá con características de estacionario sobre el norte de México y mantendrá su interacción con un canal de baja presión sobre el noreste, además de un canal de baja presión extendido en el interior del territorio nacional y el ingreso de humedad del Océano Pacífico, provocará lluvias y altas temperaturas en la mayor parte del país, informó el Servicio Meteorológico Nacional (SMN).

La dependencia afirmó que se esperan lluvias muy fuertes en Coahuila, Hidalgo, Nuevo León, Oaxaca, Puebla, San Luis Potosí, Tamaulipas y Veracruz; fuertes en la Ciudad de México, Estado de México, Guanajuato, Guerrero, Michoacán, Morelos, Querétaro y Tlaxcala; chubascos en Aguascalientes, Chiapas, Chihuahua, Colima, Durango, Jalisco y Zacatecas, y lluvias aisladas en Nayarit, Quintana Roo y Sinaloa.

También, se prevé viento con rachas de 60 a 70 km/h y tolvaneras en Chihuahua, y con posible formación de torbellinos o tornados en Coahuila, Nuevo León y Tamaulipas, además de rachas de 50 a 60 km/h en Campeche, Durango, Quintana Roo, Tabasco, Veracruz y Yucatán.

La circulación de Andrés — la tormenta tropical que la tarde del lunes se debilitó a depresión tropical— se localizará al sur de las costas de Baja California Sur, como una baja presión remanente y sin afectar México.

Temperaturas máximas de 40 a 45 grados Celsius, se pronostican para Campeche, Oaxaca, Tabasco y Yucatán, y de 35 a 40 grados Celsius para Chiapas, Baja California, el suroeste del Estado de México, Guerrero, el norte de Hidalgo, Jalisco, Michoacán, Nayarit, Nuevo León, el norte de Puebla, Quintana Roo, San Luis Potosí, Tamaulipas, Sinaloa y Sonora.

En las primeras horas de este martes, se esperan temperaturas mínimas de 0 a 5 grados Celsius con posibles heladas en zonas montañosas de Chihuahua, Durango y Sonora.

Imagen ampliada

Incendio detrás de Pirámide de la Luna moviliza a cuerpos de emergencia en Teotihuacan

Las llamas consumieron una amplia zona de pastizales y árboles dentro del perímetro arqueológico; autoridades trabajan para descartar daños a la estructura prehispánica.

Despiden a funcionaria de Cultura en Guerrero por homenaje a Rubén Figueroa

La directora de Actividades Cívidas de la dependencia estatal fue removida de su cargo luego de las críticas generadas por la conmemoración del natalicio del ex gobernador Rubén Figueroa.

Asesinan a agente de la Fiscalía capitalina en Tlalnepantla

El agente perdió la vida luego de que sujetos abordo de una motocicleta le dispararon en repetidas ocasiones después de llegar a su domicilio.
Anuncio