°C -
|

La Jornada

Últimas noticias
Anuncio
Anuncio

Frente Frío 26 provoca lluvias históricas en Veracruz: PC

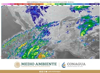
Foto satelital del Frente Frío. Foto @spcver
Foto satelital del Frente Frío. Foto @spcver
20 de enero de 2021 16:42

Xalapa. El Frente Frío 26 trajo consigo lluvias históricas en lo que va del mes de enero, que causaron afectaciones en tres municipios —de forma preliminar al corte de las 14:00 horas de este miércoles 20 de enero de 2021—, y se espera que se incrementen hacia esta misma noche, informó Protección Civil.

En la capital del estado se registran anegación de calles en 12 colonias, así como dos árboles caídos, uno en la avenida Lázaro Cárdenas frente a la SEV y otro en calle Encanto, a la altura del congreso del estado.

Asimismo, un vehículo fue rescatado de una inundación en la avenida Ruiz Cortines, frente a SEFIPLAN, y elementos de CMAS atienden un socavón en la Av. Chedraui Caram y Camino Antiguo al Sumidero.

En Emiliano Zapata se reportan 30 viviendas afectadas por inundación en el fraccionamiento Jacarandas, sin personas lesionadas. Elementos de PC Estatal y Municipal han activado bombas de achique para agilizar el drenaje del agua en el lugar, y personal municipal realiza labores de desazolve.

En Huatusco se reporta la caída de un árbol sobre un poste telefónico, en la cabecera municipal, sin personas lesionadas.

 

Imagen ampliada

Rebaja S&P calificación de Francia por "incertidumbre" sobre sus finanzas públicas

“A pesar de la presentación esta semana del proyecto de presupuesto para 2026 al Parlamento, la incertidumbre sobre las finanzas públicas de Francia sigue siendo elevada”, afirmó en un comunicado.

Detectan sobreprecios de hasta 200 mdd en tarifas eléctricas en Chile

La responsabilidad del cobro abultado recae en la incompetencia de la Comisión Nacional de Energía (CNE), órgano regulador que tiene a su cargo la fijación semestral de las tarifas.

China y EU acuerdan nuevas negociaciones comerciales

La decisión se dio a conocer tras la videollamada del sábado por la mañana (tiempo de China) entre representantes de ambos países, encabezados por el secretario del Tesoro, Scott Bessent, y el viceprimer ministro chino, He Lifeng.
Anuncio