°C -
|

La Jornada

Últimas noticias
Anuncio
Anuncio

Pronostica SMN temperaturas de hasta 45° Celsius en 12 estados

25 de mayo de 2022 10:30

Ciudad de México. En información difundida este miércoles, el Servicio Meteorológico Nacional (SMN) aseguró que prevalecerá ambiente vespertino de caluroso a muy caluroso en gran parte de México, con temperaturas máximas de 40 a 45 grados Celsius en 12 entidades.

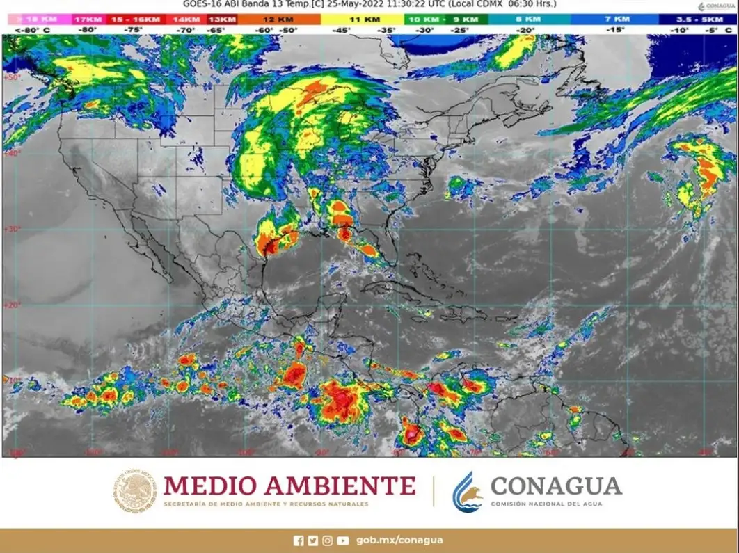
Además, pronosticó lluvias puntuales intensas (de 75 a 150 milímetros [mm]) en regiones de Chiapas; muy fuertes (de 50 a 75 mm) en el oriente de Oaxaca; fuertes (de 25 a 50 mm) en áreas de Campeche, Guerrero, Quintana Roo y Tamaulipas; intervalos de chubascos (de 5 a 25 mm) en la Ciudad de México, Estado de México, Morelos, Nuevo León, Puebla, San Luis Potosí, Tabasco, Veracruz y Yucatán, y lluvias aisladas (de 0.1 a 5 mm) en Coahuila, Guanajuato, Hidalgo, Michoacán, Querétaro y Tlaxcala. Las lluvias estarán acompañadas de descargas eléctricas, vientos fuertes y posibles granizadas, y podrían ocasionar incremento en los niveles de ríos y arroyos, deslaves e inundaciones en zonas del sureste de la República Mexicana.

Agregó que espera vientos fuertes con rachas de 60 a 70 kilómetros por hora (km/h) y tolvaneras en Coahuila, Nuevo León y Tamaulipas, y con rachas de 50 a 60 km/h en Aguascalientes, Chihuahua, Durango, Campeche, Guanajuato, norte de Jalisco, oriente de Oaxaca, Quintana Roo, San Luis Potosí, sur de Veracruz, Yucatán y Zacatecas.

Explicó que las condiciones serán generadas por canales de baja presión extendidos sobre diferentes regiones del territorio nacional; la entrada de humedad proveniente del Océano Pacífico, reforzada por una zona de baja presión con alta probabilidad para desarrollo ciclónico localizada al sur de las costas de Oaxaca; inestabilidad en niveles altos de la atmósfera; el flujo de humedad procedente del Golfo de México; el Frente Frío Número 48 (fuera de temporada) y la corriente en chorro polar.

Detalló que persistirá el ambiente vespertino de caluroso a muy caluroso en gran parte del país con temperaturas máximas de 40 a 45 grados Celsius en Chiapas, Guerrero, Jalisco, Michoacán, Nayarit, Oaxaca, Tabasco, Tamaulipas, San Luis Potosí, Sinaloa, Veracruz y el sur de Zacatecas, de 35 a 40 grados Celsius en Baja California, Campeche, Chihuahua, Coahuila, Colima, Durango, norte de Hidalgo, Morelos, Nuevo León, norte y suroeste de Puebla, norte de Querétaro, Sonora y Yucatán, y de 30 a 35 grados Celsius en Aguascalientes, Baja California Sur, el suroeste del Estado de México, Guanajuato y Quintana Roo.

Por la mañana, acotó, se esperan temperaturas mínimas de -5 a 0 grados Celsius y heladas en las montañas de Chihuahua y Durango, y de 0 a 5 grados Celsius en las sierras del Estado de México, Sonora y Zacatecas.

A las 7:00 horas, tiempo del centro de México, la zona de baja presión ubicada en el Océano Pacífico, con 30% de probabilidad de desarrollo ciclónico en el pronóstico a 48 horas y 80% en el de cinco días, se localizó aproximadamente a 605 km al sur-sureste de Puerto Ángel, Oaxaca, y se desplaza al oeste-noroeste a una velocidad de 8 a 16 km/h.

En la misma cuenca, añadió, otra zona de baja presión continua con 20% de probabilidad de desarrollo ciclónico en el pronóstico a 48 horas; esta mañana se localizó aproximadamente a 880 km al sur-suroeste de Cabo Corrientes, Jalisco, y se encuentra semiestacionaria.

Imagen ampliada

Unión de Pozos Agrícolas de Zacatecas rechazan Ley de Aguas; anuncian toma de casetas

Severiano Zamarrón, dirigente de la UPAZ, informó que esta jornada de manifestaciones es resultado de que funcionarios de la Conagua no dieron una respuesta favorable a sus demandas

Reportan quema de vehículos por crimen en Villaflores, Chiapas

“Tenemos avances importantes respecto a la identidad de las personas que provocaron estas acciones, quienes van a enfrentar a la justicia”, señaló la Fiscalía.

Alcaldesa Grecia Quiroz responde a las críticas: “Sigan desgastándose en tirar”

La presidenta municipal de Uruapan, Michoacán, viuda de Carlos Manzo, aseguró que mientras más señalan a su movimiento, más se fortalece; “mejor ocúpense en sus labores y déjenos trabajar”, dijo.
Anuncio