°C -
|

La Jornada

Últimas noticias
Anuncio
Anuncio

Prevalecerá ambiente gélido en el norte del país: SMN

25 de enero de 2021 09:54

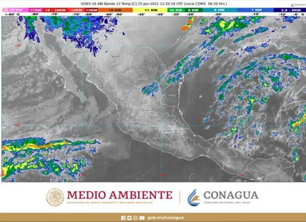
Ciudad de México. El ambiente gélido y rachas de viento de 70 a 90 km/h, prevalecerán, de acuerdo con el pronóstico del Servicio Meteorológico Nacional (SMN), para Baja California, Chihuahua y Sonora, y existen condiciones meteorológicas para la formación de una tormenta invernal en el noroeste de México.

En una comunicado el SMN, indicó que este lunes, el frente frío número 31 ingresará al noroeste de México, lo que mantendrá ambiente gélido en la región y provocará rachas de viento de 70 a 90 kilómetros por hora (km/h) en el Golfo de California, con tolvaneras en Baja California, Chihuahua, Sonora y Durango, y rachas de 50 a 60 km/h en el norte de Baja California Sur, así como lluvias fuertes (de 25 a 50 milímetros [mm]) en Baja California y Sonora, chubascos (de 5.1 a 25 mm) en Chihuahua, lluvias aisladas (de 0.1 a 5 mm) en Baja California Sur y caída de nieve o aguanieve en sierras de Baja California, Chihuahua y Sonora.

Asimismo, se espera oleaje de 3 a 5 metros (m) de altura para la costa occidental de Baja California y de 2 a 3 m en playas del occidente de Baja California Sur.

Dicho sistema, en combinación con el ingreso de humedad proveniente del Océano Pacífico, inestabilidad en la parte alta de la atmósfera y la corriente en chorro, podrían generar una tormenta invernal en la región en el transcurso del día.

Por otra parte, el Frente Frío Número 31, que se desplazará por el noreste del país, ocasionará rachas de viento de 60 a 70 km/h, con tolvaneras en Coahuila, Nuevo León y Zacatecas, de 50 a 60 km/h en Aguascalientes, Campeche, Quintana Roo, San Luis Potosí, Tabasco, Tamaulipas, el sur de Veracruz, Yucatán y el Istmo de Tehuantepec, y lluvias aisladas en Chiapas, Quintana Roo y Tamaulipas.

Se prevén temperaturas mínimas, por la mañana, de -15 a -10 grados Celsius zonas montañosas de Chihuahua y Durango; de -10 a -5 grados Celsius en sierras de Baja California, Sonora y Zacatecas; de -5 a 0 grados Celsius en montañas de Coahuila, Estado de México, Hidalgo Puebla y Tlaxcala, y de 0 a 5 grados Celsius en zonas serranas del norte de Aguascalientes, Ciudad de México, Guanajuato, Michoacán, Morelos, Nuevo León, Querétaro, San Luis Potosí y Veracruz. Dichos estados tendrán condiciones para heladas.

Un sistema de alta presión generará ambiente de cálido a caluroso y temperaturas máximas de 35 a 40 grados Celsius a lo largo del día en zonas de Campeche, Chiapas, Guerrero, Michoacán, Oaxaca, San Luis Potosí, Tamaulipas y Yucatán.

Imagen ampliada

Puente López Portillo en Álamo, Veracruz, cerrado indefinidamente tras paso de 'Raymond': SICT

En un comunicado, la dependencia expuso que la medida se tomó debido a que el puente presenta daños estructurales.

Comunidad del Centro Universitario de la Costa, en Puerto Vallarta realiza limpieza; reanudan clases vespertinas

La institución informó que resultó afectado el edificio de Morfología y Biología Molecular, Laboratorio de Calidad de Agua y Acuicultura Experimental luego de las intensas lluvias del fin de semana.

Entregan 460 títulos de propiedad a mujeres de Tlalnepantla

El programa de regularización de la tenencia de la tierra a favor de las mujeres podría rebasar las 250 mil beneficiarias en su primer año de operación.
Anuncio