°C -
|

La Jornada

Últimas noticias
Anuncio
Anuncio

Prevén fuertes lluvias en el país por frente frío 18

07 de diciembre de 2020 10:00

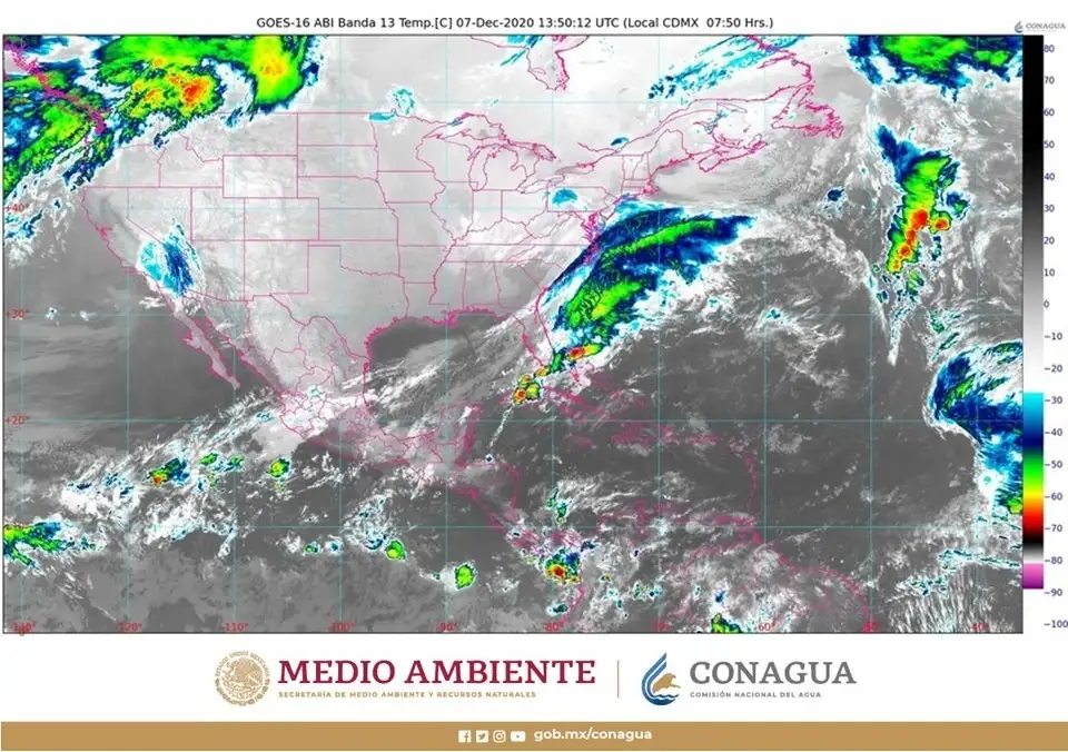
Ciudad de México. El Frente Frío Número 18 se extenderá sobre la Sonda de Campeche y la Península de Yucatán, junto con la masa de aire polar que cubre el norte, el centro y el oriente del país, y provocará lluvias torrenciales (de 150 a 250 milímetros [mm]) en Chiapas y Tabasco; intensas (de 75 a 150 mm) en Campeche y el sur de Veracruz; muy fuertes (de 50 a 75 mm) en Quintana Roo y Yucatán, y fuertes (de 25 a 50 mm) en Oaxaca, informó el Servicio Meteorológico Nacional (SMN).

El organismo agregó que habrá lluvias muy fuertes en Chiapas y Tabasco; fuertes en Campeche, Oaxaca y el sur de Veracruz; chubascos (de 5.1 a 25 mm) en Guanajuato, Jalisco, Michoacán, Puebla, Querétaro, Quintana Roo y Yucatán, y lluvias aisladas (de 0.1 a 5 mm) en la Ciudad de México, Colima, Estado de México, Guerrero, San Luis Potosí y Tlaxcala.

Permanecerá el evento de Norte, con rachas de viento de 80 a 100 km/h en el Golfo e Istmo de Tehuantepec, de 50 a 60 km/h en Campeche, Tabasco y el centro y sur de Veracruz, y de 40 a 50 km/h en el litoral de Quintana Roo y Yucatán. También se prevé oleaje de 2 a 4 metros (m) de altura en el Golfo de Tehuantepec, y de 1 a 2 m en playas de Campeche, Tabasco, Yucatán, el norte de Quintana Roo y el sur de Veracruz.

Por otra parte, en el transcurso del día, un vórtice de núcleo frío y el ingreso de humedad proveniente del Océano Pacífico, originarán la Tercera Tormenta Invernal en el noroeste de México, la cual provocará descenso de temperatura y rachas de viento de 50 a 60 km/h en Baja California, así como olas de 1 a 2 m en su costa occidental.

Durante la mañana, se estiman temperaturas mínimas de -10 a -5 grados Celsius, con heladas en zonas montañosas de Chihuahua, Coahuila, Durango, Sonora y Zacatecas; de -5 a 0 grados Celsius y heladas en sierras de Aguascalientes, Baja California, Estado de México, Guanajuato, Hidalgo, Nuevo León, Puebla, Querétaro y San Luis Potosí, y de 0 a 5 grados Celsius en sitios montañosos de Baja California Sur, Ciudad de México, Jalisco, Michoacán, Tamaulipas, Tlaxcala y Veracruz.

En contraste, en el transcurso del día, las temperaturas máximas serán de 35 a 40 grados Celsius en zonas de Guerrero, Jalisco y Michoacán.

Imagen ampliada

Vinculan a proceso a ‘El Comandante’ por el homicidio de músicos colombianos

'El Comandante' es el presunto coautor material del homicidio de Bayron Sánchez B-King y Jorge Luis Herrera DJ Regio Clown.

INE designa a Marina López Santiago como presidenta del IEPC en Chiapas

Ocupará el cargo por un periodo de siete años en sustitución de María Magdalena Vila Domínguez.

Tren con combustible se descarrila en Hidalgo y provoca explosión

De acuerdo con los primeros reportes, el incidente se registró en Tepetitlán durante el recorrido habitual de la unidad, cuando un vagón explotó.
Anuncio