°C -
|

La Jornada

Últimas noticias
Anuncio
Anuncio

Prevén que 'Agatha' toque tierra en la costa de Oaxaca

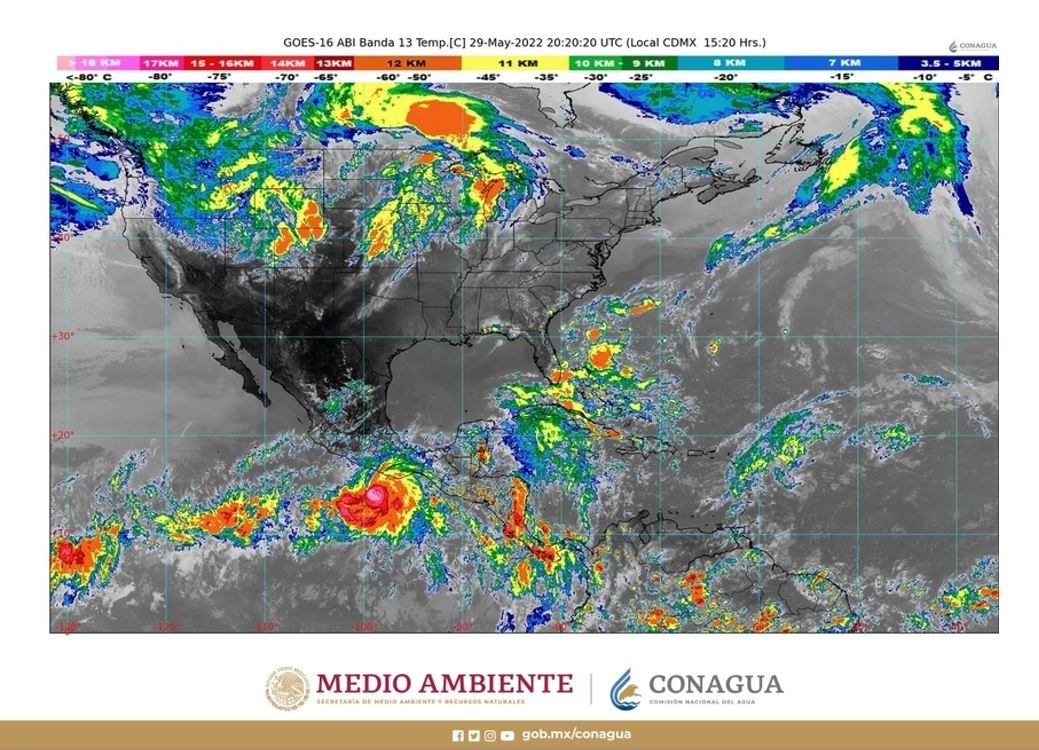
El huracán "Agatha" intensificó su categoría en pocos días en la costas de Oaxaca. Foto Conagua
El huracán "Agatha" intensificó su categoría en pocos días en la costas de Oaxaca. Foto Conagua
Foto autor
Ap
29 de mayo de 2022 18:52

Ciudad de México. El primer huracán de la temporada se formó el domingo en el sur de México y rápidamente se fortaleció antes de su anticipada llegada a tierra a lo largo de un tramo de centros turísticos y pueblos pesqueros en la costa del Pacífico.

El huracán Agatha podría tocar tierra el lunes por la tarde o la noche con fuerza de categoría 3 en un área cercana a las localidades de Puerto Escondido y Puerto Ángel, en el sur del estado de Oaxaca, una región que incluye las comunidades turísticas de Huatulco, Mazunte y Zipolite.

El domingo por la noche, el Centro Nacional de Huracanes de Estados Unidos informó que Agatha tenía vientos sostenidos máximos de 175 km/h, tan sólo 1.6 km (1 milla) por debajo de la categoría 3. Su vórtice se ubicaba a unos 255 kilómetros (160 millas) al suroeste de Puerto Ángel, y se desplazaba en dirección noreste a 7 km/h (5 mph).

El centro indicó que los vientos de Agatha podrían alcanzar 193 km/h (120 mph) cuando toque tierra.

Una alerta de huracán se encuentra en vigor entre el puerto de Salina Cruz y las lagunas de Chacahua.

La Coordinación Estatal de Protección Civil de Oaxaca dijo que las bandas exteriores del huracán ya habían comenzado a golpear la costa. La agencia publicó imágenes de pescadores amarrando sus embarcaciones sobre la playa para protegerlas de la tormenta.

Las autoridades municipales de Huatulco ordenaron el cierre absoluto de todas las playas del centro turístico, incluyendo sus afamadas siete bahías, muchas de las cuales sólo son accesibles por mar. También cerraron escuelas y comenzaron a instalar albergues.

Al este en Zipolite, una localidad conocida por su playa nudista y su ambiente bohemio, el personal del pequeño hotel Casa Kalmar recogió todo el mobiliario de playa e instaló postigos de madera para evitar que los fuertes vientos reventaran puertas y ventanas.

“La preocupación mas grande aquí es el aire, el viento”, dijo Silvia Ranfagni.

Con un solo huésped y muchas cancelaciones a causa del huracán, Ranfagni planeaba aguardar la llegada de Agatha en la propiedad, la cual se ubica a tres o cuatro cuadras de la playa.

“Me voy a quedar encerrada aquí con mis animales”, declaró, refiriéndose a su perro y gatos.

El Centro Mexicano de la Tortuga —un antiguo rastro convertido en centro de conservación en Mazunte— anunció que estará cerrado a los visitantes hasta nuevo aviso debido a la llegada del ciclón.

El Centro Nacional de Huracanes advirtió de peligrosas inundaciones costeras y oleaje destructivo cerca de la zona donde Agatha tocará tierra.

Se tiene previsto que la tormenta arroje entre 250 y 400 mm (10 a 16 pulgadas) de lluvia en partes de Oaxaca, con máximos de 500 milímetros (20 pulgadas) en zonas aisladas y la posibilidad de inundaciones repentinas y deslizamientos de tierra.

Debido a que la trayectoria de la tormenta podría llevarla hacia la región del istmo de Tehuantepec, el Centro de Huracanes indicó que existe la posibilidad de que sus remanentes resurjan sobre el Golfo de México.

En el norte de Guatemala, una mujer y sus seis hijos fallecieron el sábado después de que un deslave aplastó su casa, pero el incidente no parece estar relacionado con la presencia de Agatha.

Imagen ampliada

Campesinos y ganaderos de Bacalar protestan por afectaciones de Ley de Aguas

Los manifestantes solo distribuyeron pitahaya y coco a los automovilistas que pasaban por la zona, informando a los conductores los motivos de su manifestación pacífica, la cual más bien fue una jornada de concientización.

Paisanos alistan caravana de fin de año para regresar a territorio nacional

Los connacionales enfrentan un doble riesgo, este año debido a las políticas migratorias de EU y en territorio nacional el temor a ser asaltados o secuestrados por el crimen organizado.

Sujetos armados matan a balazos a un policía de Cotija, Michoacán

Los agresores usaron rifles de asalto y lanzaron una granada que no explotó; dos civiles resultaron heridos.
Anuncio