°C -
|

La Jornada

Últimas noticias
Anuncio
Anuncio

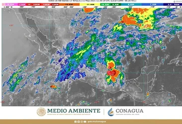
Pronostican lluvias en gran parte del país

13 de mayo de 2021 10:14

Ciudad de México. El Sistema Meteorológico Nacional (SMN) informó que en gran parte del país se esperan lluvias, sobre todo en el centro y sureste del territorio mexicano, como en Hidalgo, Puebla y Veracruz.

Hay una gran posibilidad de lluvias intensas en Chiapas, Oaxaca, San Luis Potosí, Tabasco, Querétaro y Tamaulipas. En el centro y norte del país tendrán lluvias moderadas a fuertes.

Las precipitaciones estarán acompañadas de descargas eléctricas y habrá condiciones para caída de granizo en la Ciudad de México, Estado de México, Hidalgo, Jalisco, Michoacán, Puebla, San Luis Potosí, Tamaulipas y Veracruz.

Debido a las lluvias podrían ocurrir deslaves, incrementos en los niveles de ríos y arroyos; desbordamientos e inundaciones en zonas bajas. Se exhorta a la población de los estados mencionados a atender los avisos del Servicio Meteorológico Nacional (SMN) y a seguir las indicaciones de las autoridades estatales, municipales y de Protección Civil.

También se pronostican fuertes vientos provenientes del norte, que podrían llegar a rachas de 70 a 80 kilómetros por hora (km/h) para el Istmo y Golfo de Tehuantepec, y de 50 a 60 km/h para el litoral de Tamaulipas y Veracruz. 

Los efectos son consecuencia del paso del frente número 56 por el oriente de México, así como por su masa de aire frío asociada y canales de baja presión.

Durante la mañana, se esperan bajas temperaturas, de entre 0 a 5 grados centígrados, con posibilidad de heladas en montañas de Chihuahua y Durango; en contraste, en el transcurso del día se prevén temperaturas máximas de 40 a 45 grados en zonas de Campeche, Sinaloa, Sonora y Yucatán, y de 35 a 40 grados Celsius en sitios de Baja California, Baja California Sur, Chiapas, Colima, el suroeste del Estado de México, Guerrero, Jalisco, Michoacán, Nayarit, Quintana Roo y Tabasco.

Imagen ampliada

Agricultores de Zacatecas advierten que Ley General de Aguas provocará estallido social

De aprobarse el decreto en los términos propuestos hasta ahora miles de agricultores estarán en riesgo de perder su patrimonio e infraestructura productiva.

Panistas protegen a edil Melani Murillo por compra a sobreprecio de terreno en Silao

De la revisión que haga la Auditoria Superior del Estado de Guanajuato saldrá si se tienen que deslindar responsabilidades penales, civiles o administrativas.

Por agresión de la GN, prestadores de servicios bloquean Costera en Acapulco

Algunos de ellos mencionaron que el prestador de servicios afectado se encuentra internado en un hospital privado, en espera de ser valorado por un traumatólogo.
Anuncio